Plans for The Proctor Move Forward
The discussion around a new mixed-use development for the Proctor District got a little more real last week with an application submitted to the City for permits for a six-story development at North 28th and Proctor.
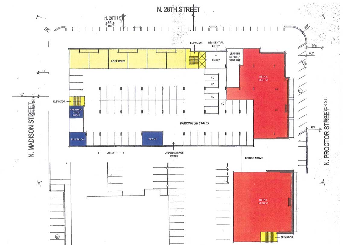
The applicant proposes construction of a six-story mixed-use building of approximately 200,000 square feet with approximately 147-150 residential units, 12,000 square feet of commercial/retail on 6 parcels including vacated air rights. 175 on-site parking stalls and 18 off-site parking stalls are proposed. Approximately 20,000 cubic yards of cut and fill is proposed. The site is zoned “NCX” Neighborhood Commercial Mixed Use District. ...
Draft documents included in the application show the development taking up the full northern half of the 2700 block of North Proctor, including the small shopping complex and parking lot at the corner of 28th, and four residential properties across from Mason Middle school.

Another page shows a central parking area surrounded by retail units facing Proctor, with residential "loft units" facing 28th Street.

A final image that might be of interest shows a preliminary "conceptual site plan" with what looks like a nice little interior courtyard, and some street-facing patio and landscaping spaces.

All of this comes ahead of the January 16 public hearing on the proposed vacation of air rights to allow the development to span the right-of-way over the alley, while keeping it open to traffic at ground level.
The plans are, of course, subject to change, but what do you think? Is Proctor ready for this?
Read more previously from Exit133 on The Proctor.
Filed under: Neighborhoods, Proctor, Developments, Proctor Station
12 comments
E Erik B January 6, 2014
J James January 6, 2014
N NameSusanne Marten January 7, 2014
F Fred Davie January 6, 2014
J James January 7, 2014
P Proctorguy January 7, 2014
J Jordan January 7, 2014
P Proctorguy January 8, 2014
J JDHasty January 8, 2014
J JimB45 January 8, 2014
P Proctorguy January 12, 2014
S Sammy PSName February 10, 2014